鹤山市人民政府征收土地公告
鹤自然资征地字〔2025〕107号
《广东省人民政府关于鹤山市2024年度第六十三批次城镇建设用地的批复》(粤府土审(14)〔2025〕56号)已经广东省人民政府批准,现将有关事项公告如下:
一、征收土地目的:为了实施城镇建设规划,拟征收位于鹤山市址山镇新莲村的集体土地,用于工业用地用途。
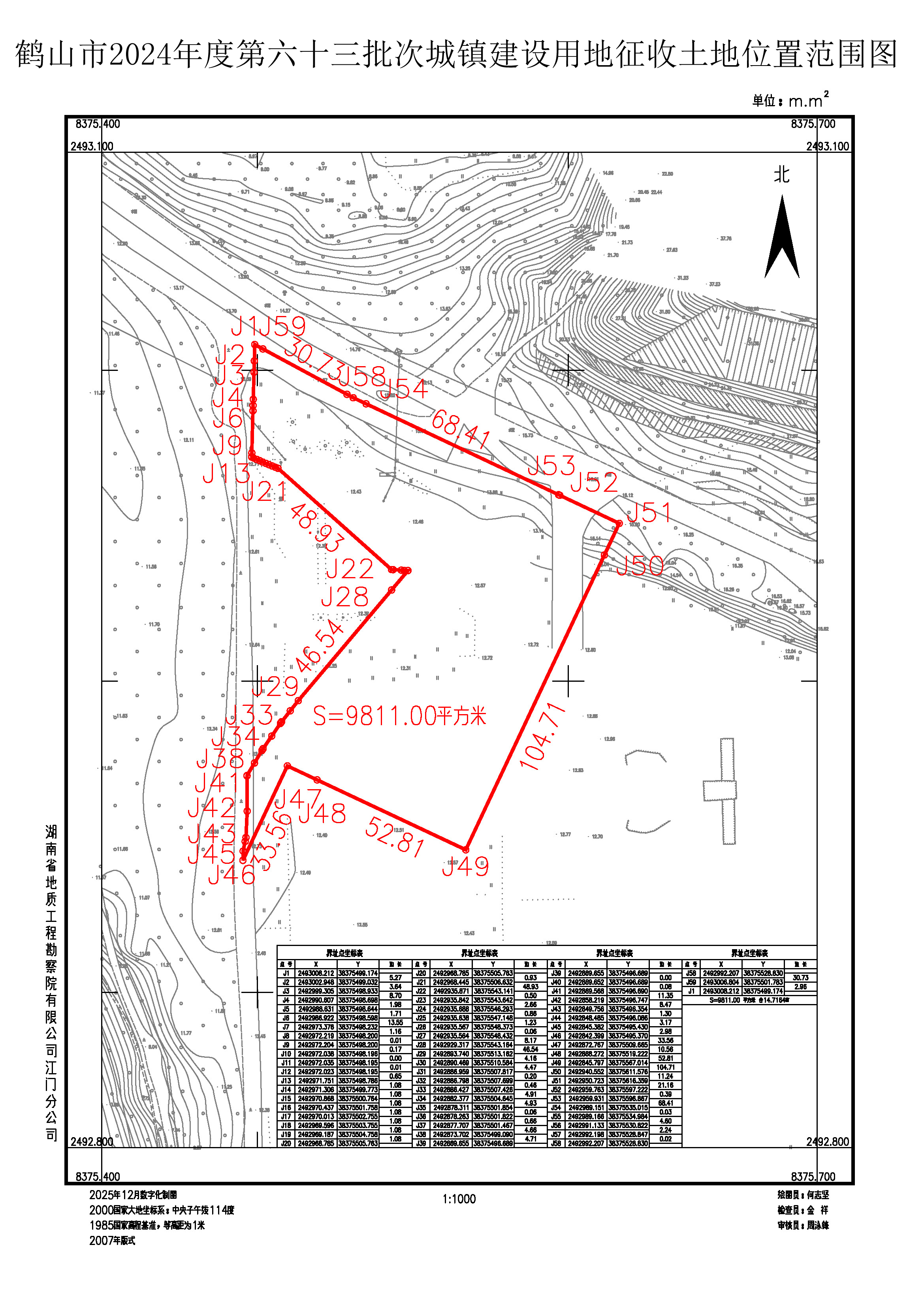
二、征收土地位置范围:鹤山市址山镇新莲村(见附图)。
三、征收土地情况:鹤山市址山镇新莲股份经济合作联合社属下的集体土地0.9811公顷。
四、公告期限:2025年12月8日至2026年1月8日。
五、行政复议渠道:被征收土地所有权人及相关权利人可以自公告期限届满之日起60日内就《广东省人民政府关于鹤山市2024年度第六十三批次城镇建设用地的批复》(粤府土审(14)〔2025〕56号)向广东省人民政府申请行政复议。
专此公告。
征地实施单位:鹤山市址山镇人民政府
公告发布单位:鹤山市人民政府
2025年12月8日
附件1:征收土地红线图
附件2:广东省人民政府关于鹤山市2024年度第六十三批次城镇建设用地的批复
附件3:征收土地补偿安置方案
附件4:被征地农民养老保障方案
附件:
相关稿件:

政务微博
鹤山政府网
粤公网安备44078402440793号


